Building Plots For Sale In Littleport . An excellent opportunity to purchase a single building plot with detailed planning consent for a contemporary 4. an excellent opportunity to purchase a single building plot with detailed planning consent for a contemporary 4 bedroom house of. land for sale in self build plot 5, harvest way, littleport cb6, selling for £110,000 from bovingdons. Find the latest properties available for sale in littleport. an excellent opportunity to purchase a single building plot with detailed planning consent for a contemporary 4 bedroom house of. land for sale in self build plot 3, tilling way, littleport cb6, selling for £90,000 from bovingdons. 3 bedroom property with land for sale plot at ely road, prickwillow. find land, building plots and conversion and renovation opportunities in littleport, cambridgeshire, eastern, england (other.
from www.kent-estate-agencies.co.uk
An excellent opportunity to purchase a single building plot with detailed planning consent for a contemporary 4. find land, building plots and conversion and renovation opportunities in littleport, cambridgeshire, eastern, england (other. an excellent opportunity to purchase a single building plot with detailed planning consent for a contemporary 4 bedroom house of. land for sale in self build plot 3, tilling way, littleport cb6, selling for £90,000 from bovingdons. 3 bedroom property with land for sale plot at ely road, prickwillow. Find the latest properties available for sale in littleport. land for sale in self build plot 5, harvest way, littleport cb6, selling for £110,000 from bovingdons. an excellent opportunity to purchase a single building plot with detailed planning consent for a contemporary 4 bedroom house of.
For Sale Building Plot / Land in Canterbury
Building Plots For Sale In Littleport find land, building plots and conversion and renovation opportunities in littleport, cambridgeshire, eastern, england (other. an excellent opportunity to purchase a single building plot with detailed planning consent for a contemporary 4 bedroom house of. an excellent opportunity to purchase a single building plot with detailed planning consent for a contemporary 4 bedroom house of. land for sale in self build plot 3, tilling way, littleport cb6, selling for £90,000 from bovingdons. Find the latest properties available for sale in littleport. 3 bedroom property with land for sale plot at ely road, prickwillow. find land, building plots and conversion and renovation opportunities in littleport, cambridgeshire, eastern, england (other. land for sale in self build plot 5, harvest way, littleport cb6, selling for £110,000 from bovingdons. An excellent opportunity to purchase a single building plot with detailed planning consent for a contemporary 4.
From dxokmctsy.blob.core.windows.net
Building Plots For Sale In North Cornwall at Harold Smathers blog Building Plots For Sale In Littleport Find the latest properties available for sale in littleport. land for sale in self build plot 5, harvest way, littleport cb6, selling for £110,000 from bovingdons. 3 bedroom property with land for sale plot at ely road, prickwillow. find land, building plots and conversion and renovation opportunities in littleport, cambridgeshire, eastern, england (other. land for sale. Building Plots For Sale In Littleport.
From www.bovishomes.co.uk
Home 140 The Beech Bovis Homes Quantum Fields New Homes For Building Plots For Sale In Littleport an excellent opportunity to purchase a single building plot with detailed planning consent for a contemporary 4 bedroom house of. Find the latest properties available for sale in littleport. 3 bedroom property with land for sale plot at ely road, prickwillow. land for sale in self build plot 3, tilling way, littleport cb6, selling for £90,000 from. Building Plots For Sale In Littleport.
From www.bovishomes.co.uk
Home 113 The Maple Bovis Homes Quantum Fields New Homes For Building Plots For Sale In Littleport an excellent opportunity to purchase a single building plot with detailed planning consent for a contemporary 4 bedroom house of. an excellent opportunity to purchase a single building plot with detailed planning consent for a contemporary 4 bedroom house of. land for sale in self build plot 3, tilling way, littleport cb6, selling for £90,000 from bovingdons.. Building Plots For Sale In Littleport.
From www.persimmonhomes.com
The Sherwood, 3 bedroom detached homes for sale in Ely, Cambridgeshire Building Plots For Sale In Littleport Find the latest properties available for sale in littleport. land for sale in self build plot 5, harvest way, littleport cb6, selling for £110,000 from bovingdons. an excellent opportunity to purchase a single building plot with detailed planning consent for a contemporary 4 bedroom house of. 3 bedroom property with land for sale plot at ely road,. Building Plots For Sale In Littleport.
From cerfmqer.blob.core.windows.net
Building Plots For Sale In Ashbourne Derbyshire at Lee Galvan blog Building Plots For Sale In Littleport an excellent opportunity to purchase a single building plot with detailed planning consent for a contemporary 4 bedroom house of. an excellent opportunity to purchase a single building plot with detailed planning consent for a contemporary 4 bedroom house of. land for sale in self build plot 5, harvest way, littleport cb6, selling for £110,000 from bovingdons.. Building Plots For Sale In Littleport.
From www.onthemarket.com
Self Build Plot 4, Littleport Plot £100,000 Building Plots For Sale In Littleport An excellent opportunity to purchase a single building plot with detailed planning consent for a contemporary 4. land for sale in self build plot 5, harvest way, littleport cb6, selling for £110,000 from bovingdons. Find the latest properties available for sale in littleport. land for sale in self build plot 3, tilling way, littleport cb6, selling for £90,000. Building Plots For Sale In Littleport.
From cerfmqer.blob.core.windows.net
Building Plots For Sale In Ashbourne Derbyshire at Lee Galvan blog Building Plots For Sale In Littleport find land, building plots and conversion and renovation opportunities in littleport, cambridgeshire, eastern, england (other. an excellent opportunity to purchase a single building plot with detailed planning consent for a contemporary 4 bedroom house of. land for sale in self build plot 3, tilling way, littleport cb6, selling for £90,000 from bovingdons. land for sale in. Building Plots For Sale In Littleport.
From www.zoopla.co.uk
2 bed flat for sale in Granby Street, Littleport, Ely CB6 Zoopla Building Plots For Sale In Littleport an excellent opportunity to purchase a single building plot with detailed planning consent for a contemporary 4 bedroom house of. Find the latest properties available for sale in littleport. land for sale in self build plot 5, harvest way, littleport cb6, selling for £110,000 from bovingdons. 3 bedroom property with land for sale plot at ely road,. Building Plots For Sale In Littleport.
From premiumplots.co.uk
Barn Conversion for sale in Hale Fen, Littleport Building Plots For Sale In Littleport an excellent opportunity to purchase a single building plot with detailed planning consent for a contemporary 4 bedroom house of. find land, building plots and conversion and renovation opportunities in littleport, cambridgeshire, eastern, england (other. land for sale in self build plot 5, harvest way, littleport cb6, selling for £110,000 from bovingdons. land for sale in. Building Plots For Sale In Littleport.
From premiumplots.co.uk
Barn Conversion for sale in Hale Fen, Littleport Building Plots For Sale In Littleport find land, building plots and conversion and renovation opportunities in littleport, cambridgeshire, eastern, england (other. an excellent opportunity to purchase a single building plot with detailed planning consent for a contemporary 4 bedroom house of. 3 bedroom property with land for sale plot at ely road, prickwillow. an excellent opportunity to purchase a single building plot. Building Plots For Sale In Littleport.
From www.kent-estate-agencies.co.uk
For Sale Building Plot / Land in Canterbury Building Plots For Sale In Littleport land for sale in self build plot 5, harvest way, littleport cb6, selling for £110,000 from bovingdons. Find the latest properties available for sale in littleport. 3 bedroom property with land for sale plot at ely road, prickwillow. an excellent opportunity to purchase a single building plot with detailed planning consent for a contemporary 4 bedroom house. Building Plots For Sale In Littleport.
From www.onthemarket.com
Plot 10, The Sherwood at Harley Heights, Harvest Way, Littleport CB6 3 Building Plots For Sale In Littleport Find the latest properties available for sale in littleport. find land, building plots and conversion and renovation opportunities in littleport, cambridgeshire, eastern, england (other. an excellent opportunity to purchase a single building plot with detailed planning consent for a contemporary 4 bedroom house of. land for sale in self build plot 5, harvest way, littleport cb6, selling. Building Plots For Sale In Littleport.
From www.onthemarket.com
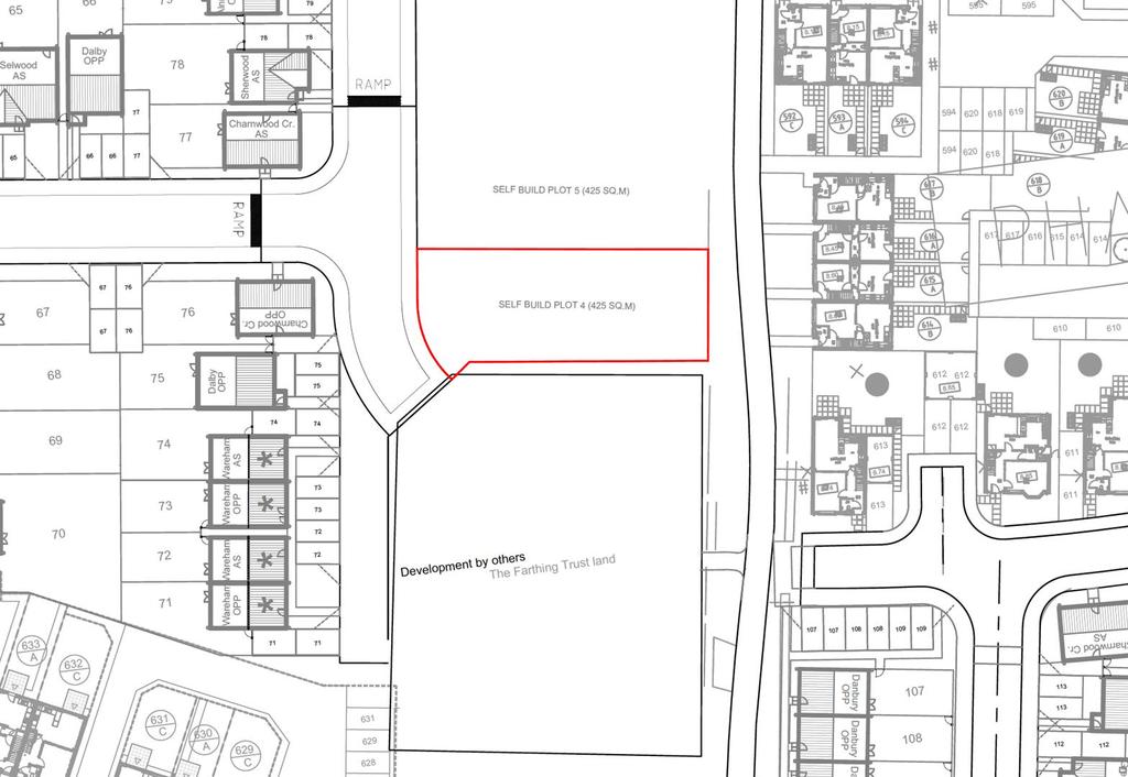
Self Build Plot 4, Littleport Plot £100,000 Building Plots For Sale In Littleport 3 bedroom property with land for sale plot at ely road, prickwillow. an excellent opportunity to purchase a single building plot with detailed planning consent for a contemporary 4 bedroom house of. land for sale in self build plot 5, harvest way, littleport cb6, selling for £110,000 from bovingdons. find land, building plots and conversion and. Building Plots For Sale In Littleport.
From www.onthemarket.com
Self Build Plot 5, Harvest Way, Littleport Plot £100,000 Building Plots For Sale In Littleport land for sale in self build plot 3, tilling way, littleport cb6, selling for £90,000 from bovingdons. 3 bedroom property with land for sale plot at ely road, prickwillow. an excellent opportunity to purchase a single building plot with detailed planning consent for a contemporary 4 bedroom house of. find land, building plots and conversion and. Building Plots For Sale In Littleport.
From www.onthemarket.com
Granary Lane, Littleport CB6 Plot for sale £140,000 Building Plots For Sale In Littleport An excellent opportunity to purchase a single building plot with detailed planning consent for a contemporary 4. an excellent opportunity to purchase a single building plot with detailed planning consent for a contemporary 4 bedroom house of. find land, building plots and conversion and renovation opportunities in littleport, cambridgeshire, eastern, england (other. 3 bedroom property with land. Building Plots For Sale In Littleport.
From www.bovishomes.co.uk
Home 141 The Beech Bovis Homes Quantum Fields New Homes For Building Plots For Sale In Littleport land for sale in self build plot 5, harvest way, littleport cb6, selling for £110,000 from bovingdons. an excellent opportunity to purchase a single building plot with detailed planning consent for a contemporary 4 bedroom house of. 3 bedroom property with land for sale plot at ely road, prickwillow. Find the latest properties available for sale in. Building Plots For Sale In Littleport.
From derelict-property.co.uk
Land for sale in Lynn Road, Littleport, Ely, Cambridgeshire CB6 Building Plots For Sale In Littleport An excellent opportunity to purchase a single building plot with detailed planning consent for a contemporary 4. find land, building plots and conversion and renovation opportunities in littleport, cambridgeshire, eastern, england (other. an excellent opportunity to purchase a single building plot with detailed planning consent for a contemporary 4 bedroom house of. land for sale in self. Building Plots For Sale In Littleport.
From premiumplots.co.uk
Barn Conversion for sale in Hale Fen, Littleport Building Plots For Sale In Littleport An excellent opportunity to purchase a single building plot with detailed planning consent for a contemporary 4. 3 bedroom property with land for sale plot at ely road, prickwillow. find land, building plots and conversion and renovation opportunities in littleport, cambridgeshire, eastern, england (other. an excellent opportunity to purchase a single building plot with detailed planning consent. Building Plots For Sale In Littleport.